Taufan makin 'menggila' di Asia

BANGKOK - Musim taufan 2025 semakin menggila di seluruh Asia, memaksa pemindahan besar-besaran dan mengorbankan banyak nyawa.
Di Vietnam, Taufan Bualoi melanda dengan kekuatan angin sehingga 130 kilometer sejam, menenggelamkan perkampungan dan menumbangkan pokok-pokok besar.
Lebih 60,000 penduduk terpaksa dipindahkan ke pusat perlindungan sementara apabila air banjir naik mendadak di wilayah Ha Tinh dan beberapa kawasan berhampiran.
Pihak berkuasa Vietnam mengesahkan sekurang-kurangnya 12 orang terkorban akibat banjir kilat dan tanah runtuh yang dicetuskan oleh ribut berkenaan.

Filipina pula berdepan kesan hujan lebat dan angin kencang selepas beberapa siri ribut tropika sejak Ogos lalu yang memusnahkan rumah-rumah dan kemudahan awam.
Agensi Bencana Filipina melaporkan lebih 150,000 penduduk dipindahkan, manakala angka kematian mencecah 25 orang setakat minggu ini.
Monsun barat daya yang diburukkan lagi oleh tiga siklon tropika – Mirasol, Nando dan Opong dilaporkan telah meragut 26 nyawa dan menjejaskan hampir 2.8 juta penduduk di seluruh negara, lapor Agensi Berita Filipina (PNA) memetik Majlis Pengurusan dan Pengurangan Risiko Bencana Kebangsaan (NDRRMC).
Sejumlah 738,714 keluarga atau 2,797,706 individu terjejas akibat hujan lebat berterusan, banjir dan tanah runtuh selama beberapa hari, yang dicetuskan oleh monsun itu.
Daripada jumlah penduduk yang terjejas, 46,611 keluarga atau 163,317 orang ditempatkan di 2,680 pusat pemindahan manakala 31,448 keluarga atau 118,957 individu menerima bantuan di luar pusat pemindahan.
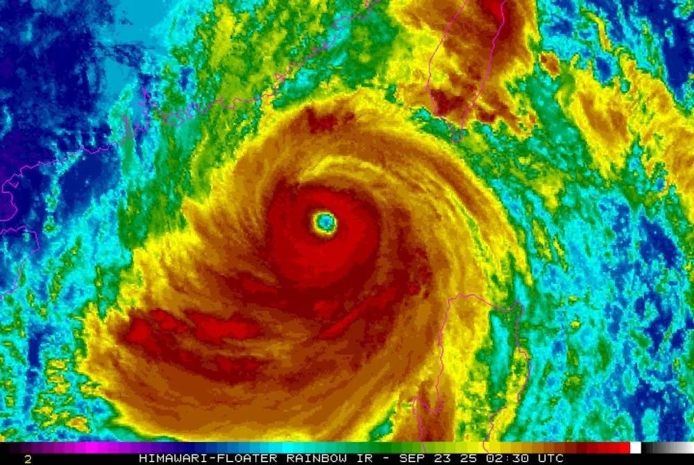
Di Taiwan, Super Taufan Ragasa baru-baru ini menyebabkan huru-hara apabila ribut kuat melanda kawasan pantai timur dan selatan.

Ratusan penerbangan terpaksa dibatalkan manakala perkhidmatan kereta api digantung bagi mengelak risiko keselamatan.
Sekurang-kurangnya 18 nyawa terkorban di Taiwan dan selatan China selepas Ragasa membawa angin kencang serta hujan tanpa henti.
Hampir 200,000 penduduk dipindahkan ke kawasan selamat, manakala banyak kawasan terputus bekalan elektrik dan komunikasi.
Di Hong Kong, ombak setinggi lebih dua meter memaksa penduduk pesisir pantai mencari perlindungan kecemasan.
Pusat Amaran Taufan Bersama (JTWC) memberi amaran bahawa suhu lautan yang kekal panas meningkatkan kebarangkalian pembentukan ribut baharu.
Pakar cuaca meramalkan beberapa lagi taufan boleh terbentuk di Laut Filipina dan Laut China Selatan sehingga Disember.
Fenomena ini turut dikaitkan dengan perubahan iklim yang mendorong pemanasan laut dan pola angin tidak menentu.
Di Jepun, pihak berkuasa juga meningkatkan kesiapsiagaan kerana laluan ribut berpotensi menghala ke Okinawa dan Kyushu.
Korea Selatan menasihatkan penduduk pesisir selatan bersedia menghadapi hujan lebat dan angin kencang minggu depan.
Di India, negeri timur seperti Odisha dan Bengal Barat bersiap sedia menghadapi kemungkinan ribut yang bergerak dari Teluk Bengal.
Sementara itu, Thailand dan Kemboja berdepan hujan monsun lebih lebat daripada biasa yang boleh membawa banjir kilat.
Malaysia walaupun jarang dilanda taufan secara langsung, turut merasai kesannya apabila hujan lebat luar biasa dan angin kencang berlaku di pantai timur Semenanjung serta Sabah dan Sarawak, sekali gus meningkatkan risiko banjir dan tanah runtuh.
Pertubuhan Bangsa-Bangsa Bersatu menyeru negara-negara terlibat meningkatkan sistem amaran awal dan pelan pemindahan kecemasan, manakala penduduk Malaysia di kawasan berisiko diminta peka terhadap ramalan cuaca bagi mengelakkan sebarang kejadian tidak diingini. - Agensi
Ringkasan AI
- Musim taufan 2025 semakin menggila di seluruh Asia, memaksa pemindahan besar-besaran dan mengorbankan banyak nyawa
- Di Vietnam, Taufan Bualoi menyebabkan lebih 60,000 penduduk dipindahkan dan sekurang-kurangnya 12 orang terkorban
- Filipina berdepan dengan lebih 150,000 penduduk dipindahkan akibat beberapa siri ribut tropika dengan 25 orang dilaporkan meninggal dunia
- Di Taiwan, Super Taufan Ragasa menyebabkan sekurang-kurangnya 18 nyawa terkorban dan hampir 200,000 penduduk dipindahkan
- Malaysia merasai kesan taufan melalui hujan lebat dan angin kencang yang meningkatkan risiko banjir dan tanah runtuh di pantai timur Semenanjung serta Sabah dan Sarawak
Muat turun aplikasi Sinar Harian. Klik di sini!
